KALISPELL
GLACIER PARK INTL (GPI)(KGPI) 6 NE UTC–7(–6DT) N48°18.63′ W114°15.36′ 2977 B LRA Class I, ARFF Index B NOTAM FILE GPI

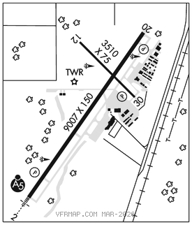
RWY 02–20: H9007X150 (ASPH–GRVD) S–115, D–198, 2S–175, 2D–321 PCR 513 F/B/X/T HIRL
RWY 02: MALSR. PAPI(P4L)–GA 3.0° TCH 50′.
RWY 20: REIL. PAPI(P4L)–GA 3.0° TCH 45′.
RWY 12–30: H3510X75 (ASPH–GRVD) S–25, D–40 PCR 80 F/C/X/T MIRL
RWY 30: PAPI(P2L)–GA 3.5° TCH 26′.
RUNWAY DECLARED DISTANCE INFORMATION
RWY 02: TORA–9007 TODA–9007 ASDA–9007 LDA–9007
RWY 12: TORA–3510 TODA–3510 ASDA–3510 LDA–3510
RWY 20: TORA–9007 TODA–9007 ASDA–9007 LDA–9007
RWY 30: TORA–3510 TODA–3510 ASDA–3510 LDA–3510
SERVICE: S4 FUEL 100LL, JET A OX 1, 2 LGT ACTVT MALSR Rwy 02; REIL Rwy 20; HIRL Rwy 02–20; MIRL Rwy 12–30–CTAF. PAPI Rwy 02, Rwy 20 and Rwy 30 opr consly.
AIRPORT REMARKS: Attended continuously. Skydiving ops 6 NM NW 13000′ and blw SR–SS June–Sep. PAJA status–Salt Lake ARTCC. VFR tfc ops at Kalispell City arpt 8 NM S and Whitefish arpt 6 NM NW. Clsd to unsked ACR ops more than 30 pax seats exc PPR–amgr. Cold temperature airport. Altitude correction required at or below –14C. Ldg fee.
AIRPORT MANAGER: 406-257-5994
WEATHER DATA SOURCES: ASOS 132.625 (406) 233–0175.
COMMUNICATIONS: CTAF 124.55 ATIS 132.625 UNICOM 122.95
LAKESIDE RCO 122.5 (GREAT FALLS RADIO)
®SALT LAKE CENTER APP/DEP CON 127.075
TOWER 124.55 (1500–0700Z‡) GND CON 121.6
AIRSPACE: CLASS D svc 1500–0700Z‡; other times CLASS E.
RADIO AIDS TO NAVIGATION: NOTAM FILE FCA.
KALISPELL (VH) (DH) VORW/DME 113.2 FCA Chan 79 N48°12.85′ W114°10.55′ 313° 6.6 NM to fld. 2984/18E.
VOR unusable:
010°–070° byd 10 NM
070°–088° byd 20 NM blo 16,000′
071°–113° byd 40 NM
088°–113° byd 22 NM blo 13,000′
088°–113° byd 35 NM blo 16,000′
114°–121° byd 40 NM blo 15,500′
114°–121° byd 55 NM
122°–140° byd 40 NM
143°–149° byd 40 NM
160°–280° byd 30 NM blo 13,000′
171°–296° byd 40 NM
304°–308° byd 40 NM
312°–336° byd 40 NM
337°–347° byd 40 NM blo 12,000′
337°–347° byd 52 NM
348°–009° byd 40 NM
350°–010° byd 10 NM blo 23,000′
DME unusable:
010°–070° byd 10 NM
070°–113° byd 20 NM blo 16,000′
070°–113° byd 37 NM
160°–280° byd 30 NM blo 13,000′
350°–010° byd 10 NM blo 23,000′
SMITH LAKE NDB (MHW) 515 SAK N48°06.50′ W114°27.67′ 019° 14.7 NM to fld. 3157/15E.
ILS 111.5 I–GPI Rwy 02. Class IB. LOC unusable byd 23° right and left of course.