TONOPAH (TPH)(KTPH) 7 E UTC–8(–7DT) N38°03.59′ W117°05.20′
5430 B NOTAM FILE TPH MON Airport

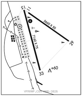
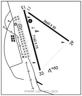
RWY 15–33: H7160X75 (ASPH) S–30 MIRL 0.5% up NW
RWY 15: PAPI(P2L)–GA 3.0° TCH 41′.
RWY 11–29: H5660X50 (ASPH) S–30, D–66, 2S–84, 2D–77 MIRL 0.3% up NW
SERVICE: S4 FUEL 100LL, JET A OX 4 LGT ACTVT PAPI Rwy 15; MIRL Rwy 15–33 and Rwy 11–29–CTAF.
AIRPORT REMARKS: Attended 1400–0700Z‡. Fuel avbl 1500–0200Z‡; aft hrs o/r call (775)–482–3626. Parachute Jumping. Rwy 11–29 rwy cracking full length, lateral and longitudinal cracks in excess of 4 inches.
AIRPORT MANAGER: 775-751-6270
WEATHER DATA SOURCES: ASOS 118.875 (775) 482–3441.
COMMUNICATIONS: CTAF/UNICOM 123.0
RCO 122.5 (RENO RADIO)
NELLIS APP/DEP CON 119.35
CLEARANCEDELIVERY PHONE:For CD, if una to ctc on FSS freq, ctc Nellis Apch at 702-652-4172.
AIRSPACE: CLASS E.
RADIO AIDS TO NAVIGATION: NOTAM FILE TPH.
(VL) (H) VORTACW 116.0 TPH Chan 107 N38°01.84′ W117°02.01′ 288° 3.1 NM to fld. 5345/17E.
VOR unusable:
000°–015° byd 30 NM blo 15,000′
000°–060° byd 40 NM
061°–071° byd 40 NM blo 12,200′
061°–071° byd 55 NM
072°–099° byd 40 NM
136°–137° byd 40 NM
160°–210° byd 40 NM
214°–216° byd 40 NM
247°–290° byd 40 NM
285°–300° byd 35 NM blo 15,000′
TACAN AZIMUTH unusable:
000°–058° byd 30 NM blo 15,000′
245°–300° byd 35 NM blo 15,000′
DME unusable:
000°–058° byd 30 NM blo 15,000′
245°–300° byd 35 NM blo 15,000′
• • • • • • • • • • • • • • • • • •
HELIPAD H1: H48X48 (ASPH–AFSC)
HELIPORT REMARKS: Final Approach and Take Off (FATO) and "H" marked in yellow. Rwy H1 faded yellow outline.