SHREVEPORT RGNL (SHV)(KSHV) 4 SW UTC–6(–5DT) N32°26.79′ W93°49.56′
258 B LRA Class I, ARFF Index B NOTAM FILE SHV MON Airport

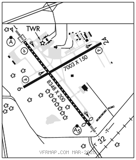
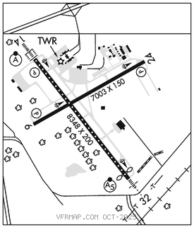
RWY 14–32: H8348X200 (ASPH–GRVD) S–120, D–218, 2S–175, 2D–370 PCR 542 F/B/X/T HIRL CL
RWY 14: ALSF2. TDZL. PAPI(P4R)–GA 3.0° TCH 50′. RVR–TMR 0.7% down.
RWY 32: MALSR. RVR–TMR Thld dsplcd 373′. Railroad.
RWY 06–24: H7003X150 (ASPH–GRVD) S–120, D–218, 2D–370 PCR 542 F/B/X/T MIRL
RWY 06: REIL. PAPI(P4L)–GA 3.0° TCH 50′. Trees.
RWY 24: REIL. PAPI(P4L)–GA 3.0° TCH 50′. Trees.
RUNWAY DECLARED DISTANCE INFORMATION
RWY 06: TORA–7003 TODA–7003 ASDA–7003 LDA–7003
RWY 14: TORA–8348 TODA–8348 ASDA–8118 LDA–8118
RWY 24: TORA–7003 TODA–7003 ASDA–7003 LDA–7003
RWY 32: TORA–8348 TODA–8348 ASDA–8348 LDA–7975
SERVICE: S4 FUEL 100LL, JET A OX 3
AIRPORTREMARKS:Attended continuously. Bird activity invof arpt. Sfc cond not mnt dly 1300–1700Z‡. Landing fee for all commercial aircraft. Flight Notification Service (ADCUS) available Mon–Fri 1400–2300Z‡, other times by appointment call 318–635–7873 or 800–973–2867.
AIRPORT MANAGER: 318-673-5370
WEATHER DATA SOURCES: ASOS 128.45 (318) 216–0546. LLWAS.
COMMUNICATIONS: UNICOM 122.95 ATIS 128.45
®APP/DEP CON 119.9
TOWER 121.4 GND CON 121.175 CLNC DEL 124.65
AIRSPACE: CLASS C svc ctc APP CON.
VOR TEST FACILITY (VOT) 108.2
RADIO AIDS TO NAVIGATION: NOTAM FILE SHV.
BELCHER (H) (H) VORTACW 117.4 EIC Chan 121 N32°46.28′ W93°48.60′ 175° 19.5 NM to fld. 1907E.
LOC/DME 109.1 I–MWP Chan 28 Rwy 06.
ILS/DME 110.7 I–SHV Chan 44 Rwy 14. Class IIE. LOM CRAKK NDB.
ILS 110.3 I–FOG Rwy 32. Class IA.
ASR