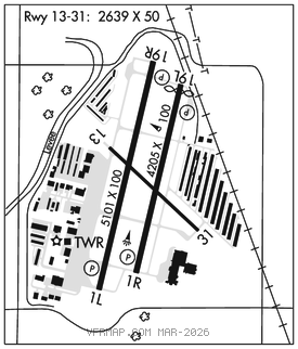
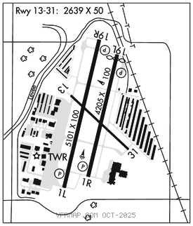
TULSA RIVERSIDE (RVS)(KRVS) 5 S UTC–6(–5DT) N36°02.38′ W95°59.08′
638 B TPA–See Remarks NOTAM FILE RVS

RWY 01L–19R: H5101X100 (ASPH–GRVD) S–61, D–87, 2D–168 PCN 27 F/B/X/T HIRL 0.3% up N
RWY 01L: REIL. PAPI(P4L)–GA 3.0° TCH 48′. Trees.
RWY 19R: REIL. PAPI(P4L)–GA 3.2° TCH 48′. Trees. Rgt tfc.
RWY 01R–19L: H4205X100 (ASPH) S–30, D–60 MIRL 0.3% up N
RWY 01R: PAPI(P4L)–GA 2.83° TCH 40′. Rgt tfc.
RWY 19L: PAPI(P4L)–GA 2.83° TCH 40′. Thld dsplcd 142′. P–line.
RWY 13–31: H2639X50 (ASPH) S–30 MIRL 0.4% up NW
RWY 13: Trees.
RWY 31: Rgt tfc.
SERVICE: S4 FUEL 100LL, JET A, A+ OX 4 LGT When ATCT clsd ACTVT MIRL Rwy 01R–19L and 13–31; HIRL Rwy 01L–19R; Twys H, L, T and Z; Txl DD–CTAF. HIRL Rwy 01L–19R preset med intst; incr intst–CTAF.
NOISE: Noise Abatement: No turns on dep prior to 1500′ MSL NA.
AIRPORT REMARKS: Attended 1200–0400Z‡. After hr PPR. Birds on and invof arpt. Rwy 13 L turn on dep bfr 1500′ MSL NA. Rwy 31 mntn TPA until abeam AER on downwind leg. NE, NW and SW ramps, ptns of Txl CC, DD and GG not vsb fm ATCT. Txl BB and NW pvt hngr area txl 20′ wide. NE and NW pvt hngr area wingspan gtr than 49 NA; wt lmt 12500 lb. Rwy 01L–19R only cntr 80′ grvd.
AIRPORT MANAGER: 918-299-5886
WEATHER DATA SOURCES: ASOS 126.5 (918) 299–0740. LAWRS.
COMMUNICATIONS: CTAF 120.3 ATIS 126.5 UNICOM 122.95
®TULSA APP/DEP CON 134.7 (175°–355°) 119.85 (356°–174°)
RIVERSIDE TOWER 120.3 119.2 (1300–0400Z‡) GND CON 121.7
CLNC DEL PRE–TAXI CLNC 124.5
AIRSPACE: CLASS D svc 1300–0400Z‡; other times CLASS G.
RADIO AIDS TO NAVIGATION: NOTAM FILE TUL.
(H) (H) VORTACW 114.4 TUL Chan 91 N36°11.78′ W95°47.29′ 218° 13.4 NM to fld. 788/8E.
TACAN AZIMUTH unusable:
248°–258° byd 23 NM blo 3,100′
DME unusable:
248°–258° byd 23 NM blo 3,100′
GLENPOOL (T) DME 110.6 GNP Chan 43 N35°55.25′ W95°58.12′ 354° 7.2 NM to fld. 810. NOTAM FILE MLC.
ILS/DME 109.95 I–RVS Chan 36(Y) Rwy 01L. Class IT.
COMM/NAV/WEATHER REMARKS: Only use 119.2 lcl/twr frequency when advised to do so by RVS ATC or when broadcasted on RVS ATIS.