NACOGDOCHES A L MANGHAM JR RGNL (OCH)(KOCH) 3 SW UTC–6(–5DT) N31°34.67′
W94°42.61′ 343 B NOTAM FILE OCH

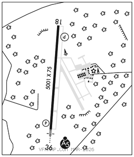
RWY 18–36: H5001X75 (ASPH) S–23.6 MIRL
RWY 18: REIL. PAPI(P2L)–GA 3.0° TCH 37′. Trees.
RWY 36: MALSR. PAPI(P2L)–GA 3.0° TCH 53′. Trees.
SERVICE: S4 FUEL 100LL, JET A+ LGT Dusk–dawn, MIRL Rwy 18–36 preset low intst. To incr intst & ACTVT MALSR Rwy 36; REIL Rwy 18–CTAF.
AIRPORT REMARKS: Attended 1400–2300Z‡ Mon–Fri, 1400–2200Z‡ Sat–Sun. Birds on and invof arpt. 24 hr self serve 100LL and Jet A+; also avbl full svc drg atndd hrs. For aftr hrs serv call 936–560–9567. Call–out fee. 35 ft AGL AWOS ant 400 ft west of Rwy 18–36 cntrln. Rwy 18–36 no line of sight btn rwy ends. High intst student pilot trng on and invof arpt. Mnt 122.75 for student areas of actvty. NOTE: See Special Notices–Model Aircraft Activity.
AIRPORT MANAGER: 936-560-9567
WEATHER DATA SOURCES: AWOS–3PT 135.625 (936) 564–5074.
COMMUNICATIONS: CTAF/UNICOM 123.0
®HOUSTON CENTER APP/DEP CON 125.175
CLEARANCEDELIVERY PHONE:For CD ctc Houston ARTCC at 281-230-5622.
RADIO AIDS TO NAVIGATION: NOTAM FILE LFK.
LUFKIN (VH) (H) VORTACW 112.1 LFK Chan 58 N31°09.75′ W94°43.01′ 356° 24.9 NM to fld. 207/5E.
TACAN AZIMUTH unusable:
260°–275° byd 30 NM
275°–260° byd 30 NM blo 2,500′
DME unusable:
260°–275° byd 30 NM
275°–260° byd 30 NM blo 2,500′
VOR unusable:
305°–312° byd 40 NM
313°–323° byd 40 NM blo 2,300′
313°–323° byd 66 NM
324°–330° byd 40 NM
ILS/DME 111.5 I–OCH Chan 52 Rwy 36. Class IA. DME unmonitored. Glideslope unusable byd 5° left of course. LOC unusable inside 0.3 NM fm thr.