COLUMBIA/MOUNT PLEASANT
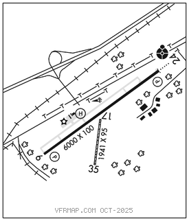
MAURY CO RGNL (MRC)(KMRC) 2 NE UTC–6(–5DT) N35°33.26′ W87°10.75′ 681 B NOTAM FILE MKL

RWY 06–24: H6000X100 (ASPH) S–33.5, D–50, 2D–70 PCN 12 F/C/X/T MIRL 0.3% up NE
RWY 06: REIL. PAPI(P4R)–GA 3.0° TCH 42′. Tree.
RWY 24: ODALS. REIL. PAPI(P4L)–GA 3.0° TCH 39′. Tree.
RWY 17–35: 1941X95 (TURF) 0.4% up N
RWY 17: Pole.
RUNWAY DECLARED DISTANCE INFORMATION
RWY 06: TORA–6000 TODA–6000 ASDA–6000 LDA–6000
RWY 24: TORA–6000 TODA–6000 ASDA–6000 LDA–6000
SERVICE: S2 FUEL 100LL, JET A+ LGT Actvt ODALS Rwy 24; REIL Rwy 24 –CTAF.
AIRPORT REMARKS: Attended 1300Z–2300Z‡. CLOSED Thanksgiving and Christmas. 330′ lgtd ant 1.9 NM SW.
AIRPORT MANAGER: 931-379-5511
WEATHER DATA SOURCES: AWOS–3 128.625 (931) 379–0844.
COMMUNICATIONS: CTAF/UNICOM 122.8
®MEMPHIS CENTER APP/DEP CON 125.85
CLEARANCE DELIVERY PHONE: For CD ctc Memphis ARTCC at 901-368-8453/8449.
RADIO AIDS TO NAVIGATION: NOTAM FILE MKL.
GRAHAM (L) DME 111.6 GHM Chan 53 N35°50.04′ W87°27.11′ 141° 21.4 NM to fld. 774.
SDF 108.7 I–MRC Rwy 24. • • • • • • • • • • • • • • • • • •
HELIPAD H1: H25X25 (CONC)