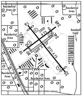
CRYSTAL (MIC)(KMIC) 8 NW UTC–6(–5DT) N45°03.75′ W93°21.24′
869 B NOTAM FILE MIC

RWY 14–32: H3751X75 (ASPH) S–13, D–25 MIRL
RWY 14: REIL. PAPI(P4L)–GA 4.0° TCH 37′. Thld dsplcd 241′. Tree.
RWY32: REIL. PAPI(P4L)–GA 4.0° TCH 35′. Thld dsplcd 241′. Trees.
RWY 06L–24R: H2500X75 (ASPH) S–12.5 MIRL
RWY 06L: VASI(V4L)–GA 4.0° TCH 27′. Thld dsplcd 390′. Tree.
RWY 24R: VASI(V4L)–GA 3.5° TCH 29′. Thld dsplcd 389′. Tree.
RWY 06R–24L: 1669X137 (TURF)
RUNWAY DECLARED DISTANCE INFORMATION
RWY 06L:TORA–2500 TODA–2500 ASDA–2500 LDA–2110
RWY 14: TORA–3509 TODA–3509 ASDA–3750 LDA–3508
RWY 24R:TORA–2500 TODA–2500 ASDA–2500 LDA–2111
RWY 32: TORA–3508 TODA–3508 ASDA–3750 LDA–3509
SERVICE: S4 FUEL 100LL, JET A LGT When ATCT clsd ACTVT REIL Rwy 14 and 32; MIRL Rwy 14–32 and 06L–24R–CTAF. PAPI Rwy 14 and 32; VASI Rwy 06L and 24R–opr consly.
NOISE:Voluntary noise abatement procs in efct. See aprt website for more info.
AIRPORT REMARKS: Attended continuously 1300–0300Z‡. Birds and wildlife on and invof arpt. Ultralight ops prohibited. Rwy 06R–24L clsd Nov–Apr; clsd when ATCT clsd. 100LL fuel avbl H24 with credit card. Rwy 06R–24L marked with yellow cones. When ATCT clsd snow removal ops mnt CTAF. Hel trg conducted ovr grass east of Rwy 32 and south of Rwy 24L. Rwy 14 calm rwy when ATCT is clsd. Twy E btn Twy G5 and G6 clsd to acft with wingspan gtr than 55 ft.
AIRPORT MANAGER: 612-726-8140
WEATHER DATA SOURCES: ASOS (763) 531–2343
COMMUNICATIONS: CTAF 120.7 ATIS 124.475 UNICOM 122.95
®MINNEAPOLIS APP/DEP CON 126.5
TOWER 120.7 (1300–0300Z‡ Oct 1–Apr 30; 1300–0400Z‡ May 1–Sep 30) GND CON 121.6
CLNC DEL 121.6
AIRSPACE: CLASS D svc 1300–0300Z‡ Oct 1–Apr 30, 1300–0400Z‡ May 1–Sep 30; other times CLASS E.
RADIO AIDS TO NAVIGATION: NOTAM FILE PNM.
GOPHER (VH) (H) VORTACW 117.3 GEP Chan 120 N45°08.74′ W93°22.39′ 165° 5.1 NM to fld. 877/6E.
VOR unusable:
025°–080° blo 5,000′
061°–071° byd 40 NM
067°–080° byd 47 NM blo 3,000′
067°–080° byd 70 NM blo 12,000′
239°–277° byd 40 NM blo 18,000′
240°–260° byd 5 NM
275°–285° byd 10 NM blo 4,000′
330°–345° byd 13 NM blo 3,000′
TACAN AZIMUTH unusable:
025°–080° blo 5,000′
145°–155° byd 37 NM blo 3,800′
230°–250° byd 38 NM blo 3,400′
275°–285° byd 10 NM blo 4,000′
330°–345° byd 13 NM blo 3,000′
DME unusable:
145°–155° byd 37 NM blo 3,800′
275°–285° byd 10 NM blo 4,000′
330°–345° byd 13 NM blo 3,000′
COMM/NAV/WEATHER REMARKS: Emerg frequency 121.5 not available at tower.