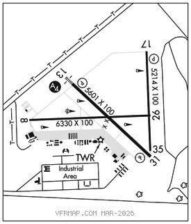
SAN MARCOS RGNL (HYI)(KHYI) 31 S UTC–6(–5DT) N29°53.57′ W97°51.78′
595 B NOTAM FILE HYI

RWY 08–26: H6330X100 (ASPH) S–80 MIRL
RWY 08: Hangar.
RWY 26: Crops.
RWY 13–31: H5601X100 (ASPH) S–60 MIRL 0.4% up NW
RWY 13: MALS. PAPI(P2L)–GA 3.0° TCH 57′.
RWY 31: PAPI(P2L)–GA 3.0° TCH 60′.
RWY 17–35: H5214X100 (ASPH) S–20 MIRL 0.4% up N
RWY 17: PAPI(P2L)–GA 3.0° TCH 55′.
SERVICE: S4 FUEL 100LL, JET A+ OX 4 LGT MALS Rwy 13; MIRL Rwys 08–26, 13–31 and 17–35 preset low intst; to ACTVT and incr intst–CTAF.
AIRPORT REMARKS: Attended 1300–0300Z‡. For aft hrs svc 800–229–2379. Call–in fee. Birds and wildlife on and invof arpt. 100LL self svc; 100LL and Jet A+ avbl full serve. Apn all ireg sfc. Tsnt acft prkg avbl on FBO ramp only. All otr ramp areas resd for based acft or rqr prior cdn with arpt mgmt.
AIRPORT MANAGER: 512-216-6039
WEATHER DATA SOURCES: AWOS–3PT (512) 353–8005
COMMUNICATIONS: CTAF 126.825 ATIS 120.825 (512–353–8005)
®AUSTIN APP/DEP CON 119.0
TOWER 126.825 (1300–0300Z‡)
GND CON/CLNC DEL 120.125 CLNC DEL 121.35 (When twr clsd)
CLEARANCE DELIVERY PHONE: For CD ctc Austin Apch at 512-369-7865.
AIRSPACE: CLASS D svc 1300–0300Z‡ eff 01 Apr 2021; other times CLASS E.
RADIO AIDS TO NAVIGATION: NOTAM FILE AUS.
CENTEX (VH) (H) VORTACW 112.8 CWK Chan 75 N30°22.71′ W97°31.79′ 205° 33.9 NM to fld. 593/6E.
VOR unusable:
180°–190° byd 40 NM
200°–210° byd 40 NM
GARYS NDB (LOMW) 272 RU N29°57.52′ W97°56.94′ 124° 6.0 NM to fld. 819/7E. NOTAM FILE HYI.
ILS 108.7 I–RUM Rwy 13. Class IT. LOM GARYS NDB. ILS and LOM unmonitored. LOC unusable byd 30° left of course.