HERMISTON MUNI (HRI)(KHRI) 2 SE UTC–8(–7DT) N45°49.69′ W119°15.55′
644 B TPA–1444(800) NOTAM FILE HRI

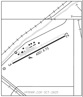
RWY 05–23: H4501X75 (ASPH) S–22 MIRL
RWY 05: Trees.
RWY 23: REIL.
SERVICE: FUEL 100LL, JET A+ LGT ACTIVATE REIL Rwy 23, MIRL Rwy 05–23–CTAF.
AIRPORT REMARKS: Attended Oct–Mar 1600–0100Z‡, Apr–Sep 1600–0200Z‡. Parachute Jumping.
AIRPORT MANAGER: 541-567-3694
WEATHER DATA SOURCES: ASOS 135.225 (541) 567–8580.
COMMUNICATIONS: CTAF/UNICOM 122.8
®SPOKANE APP/DEP CON 133.15 (1400–0600Z‡) other times ctc
®SEATTLE CENTER 132.6
CLEARANCE DELIVERY PHONE: For CD ctc Spokane Apch at 509-742-2525, when Apch clsd ctc Seattle ARTCC at 253-351-3694.
RADIO AIDS TO NAVIGATION: NOTAM FILE PDT.
PENDLETON (VH) (H) VORTACW 114.7 PDT Chan 94 N45°41.91′ W118°56.32′ 286° 15.6 NM to fld. 1575/14E.
VOR unusable:
057°–066° byd 40 NM
067°–078° byd 40 NM blo 29,000′
096°–106° byd 40 NM blo 8,300′
096°–106° byd 48 NM blo 18,000′
107°–117° byd 40 NM
118°–128° byd 40 NM blo 12,000′
118°–128° byd 75 NM
129°–207° byd 40 NM