SIOUX FALLS
JOE FOSS FLD (FSD)(KFSD) P (ANG) 3 NW UTC–6(–5DT) N43°34.92′ W96°44.52′ 1430 B LRA Class I, ARFF Index B NOTAM FILE FSD MON Airport

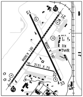
RWY 03–21: H9000X150 (CONC–GRVD) S–200, D–200, 2S–175, 2D–444 PCN 60 R/B/W/T HIRL CL
RWY 03: MALSR. PAPI(P4L)–GA 3.0° TCH 54′. RVR–T Road.
RWY 21: MALSR. TDZL. PAPI(P4L)–GA 3.0° TCH 49′. RVR–T Railroad.
RWY 15–33: H8000X150 (CONC–GRVD) S–100, D–180, 2S–175, 2D–400 PCN 70 R/B/W/T HIRL
RWY 15: REIL. PAPI(P4L)–GA 3.0° TCH 48′. Tree.
RWY 33: REIL. PAPI(P4L)–GA 3.0° TCH 45′. Tree.
RWY 09–27: H3151X75 (CONC–WC) S–30 PCN 60 R/B/W/T MIRL
RWY 09: Tree.
RWY 27: Pole.
RUNWAY DECLARED DISTANCE INFORMATION
RWY 03: TORA–8999 TODA–8999 ASDA–8999 LDA–8999
RWY 15: TORA–8000 TODA–8000 ASDA–8000 LDA–8000
RWY 21: TORA–8999 TODA–8999 ASDA–8999 LDA–8999
RWY 33: TORA–8000 TODA–8000 ASDA–8000 LDA–8000
ARRESTING GEAR/SYSTEM
RWY 03 BAK–14 BAK–12B(B) (1540'). BAK–14 BAK–12B(B) (1500'). RWY 21
RWY 15 BAK–14 BAK–12B(B) (1550'). BAK–14 BAK–12B(B) (1500'). RWY 33
SERVICE: S4 FUEL 100LL, JET A OX 1, 3 LGT ACTVT MALSR Rwy 03 and 21; REIL Rwy 15 and 33; HIRL Rwy 03–21 and 15–33; MIRL Rwy 09–27. When ATCT clsd MALSR Rwy 03 and 21 preset on low intst, to incr intst–CTAF. PAPI Rwy 03, 21, 15, 33 opr consly. Rwy 15 PAPI unusable byd 6° left and 5° right of rwy centerline. Rwy 33 PAPI unusable byd 9° right of rwy centerline. MILITARY–A–GEAR Rwy 15–33 and Rwy 03–21 A–GEAR not nmlly up, rqr 30 min PN, only avbl dur nml ANG duty hr (Oct–Apr). JASU 1(MD–3) 3(MA32A–60) FUEL A++(Mil). For mil fuel, ctc ANG DSN 798–7754, C605–988–5754. A+(C605–336–7791)(NC–100LL, A) FLUID SP PRESAIR LPOX LOX OIL O–128 SOAP
AIRPORTREMARKS: Attended continuously. Waterfowl, birds and deer on and invof arpt. Migratory birds within 25 NM primarily between Mar–Nov. Sfc conds not monitored 0600–1030Z‡ (0000–0430 local). ATCT has limited visibility on Twy H, Twy G and Twy J between the east cargo ramp and Twy B. Twy C clsd except mil acft. East general aviation ramp restricted to 60,000 pounds. Rwy 09–27 no Part 121/Part 380 Ops exc for tax. BE ALERT: Marv Skie–Lincoln County airport (Y14) located 7.2 miles sw of FSD and 2 miles east of Rokky has heavy VFR traffic. Flight Notification Service (ADCUS) avbl Mon–Fri 1400–2200Z‡ call 605–338–4384, after hrs call 605–373–3523 prior to departure. Cold temperature airport. Altitude correction required at or below –30C.
MILITARY REMARKS: ANG Numerous nstd mrk on the ANG prk apron. Comsec storage unavbl. BASH Phase II Ops eff Mar–Apr, Sep–Oct; exp incr bird act; ctc ANG Base Ops. Base Ops DSN 798–7754/7746, C605–988–5754/5746. LOBO Ops/maint 138.25 253.4. For RCR call Base Ops.
AIRPORT MANAGER: 605-336-0762
WEATHER DATA SOURCES: ASOS (605) 204–9608 LLWAS.
COMMUNICATIONS: CTAF 118.3 ATIS 126.6 UNICOM 122.95
SIOUX FALLS RCO 122.2 (HURON RADIO)
®SIOUX FALLS APP/DEP CON 125.8 (1100–0600Z‡)
®MINNEAPOLIS CENTER APP/DEP CON 132.050 (0600–1100Z‡)
SIOUX FALLS TOWER 118.3 (1100–0600Z‡) GND CON 121.9
CLEARANCE DELIVERY PHONE: For CD when ATCT clsd, ctc FSS. If una, ctc Minneapolis ARTCC at 651-463-5588.
AIRSPACE: CLASS D svc 1100–0600Z‡; other times CLASS E.
RADIO AIDS TO NAVIGATION: NOTAM FILE FSD.
SIOUX FALLS (VH) (H) VORTACW 115.0 FSD Chan 97 N43°38.97′ W96°46.87′ 148° 4.4 NM to fld. 1571/9E.
VOR unusable:
160°–170° blo 4,000′
160°–170° byd 12 NM
320°–000° byd 20 NM blo 4,000′
330°–345° byd 10 NM blo 8,000′
330°–345° byd 25 NM blo 12,000′
335°–350° byd 46 NM
ROKKY NDB (HW/LOM) 245 FS N43°29.64′ W96°49.74′ 031° 6.5 NM to fld. 1528/5E.
ILS 109.9 I–FSD Rwy 03. Class IT. LOM ROKKY NDB. COMLO unmonitored. LOC unusable byd 30° left of course. LOC and glideslope unmonitored when ATCT clsd.
ILS 111.1 I–JOU Rwy 21. Class IT. Unmonitored when ATCT closed.
ASR (1100–0500Z‡) • • • • • • • • • • • • • • • • • •
HELIPAD H1: H50X50 (ASPH) PERIMETER LGTS
HELIPORT REMARKS: Perimeter lgts.