FLORENCE RGNL (FLO)(KFLO) 3 E UTC–5(–4DT) N34°11.12′ W79°43.43′
147 B Class I, ARFF Index B NOTAM FILE FLO

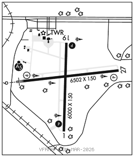
RWY 09–27: H6502X150 (ASPH–GRVD) S–97, D–156, 2S–98, 2D–261 PCR 1130 F/A/X/T HIRL 0.4% up W
RWY 09: MALSR. PAPI(P4L)–GA 3.0° TCH 58′.
RWY 27: REIL. PAPI(P4L)–GA 3.0° TCH 46′.
RWY 01–19: H6000X150 (ASPH) S–87, D–139, 2S–127, 2D–238 PCR 190 F/C/X/T MIRL 0.5% up N
RWY 01: REIL. PAPI(P4L)–GA 3.0° TCH 63′. Tree.
RWY 19: REIL. PAPI(P4L)–GA 3.0° TCH 32′. Trees.
SERVICE: S4 FUEL 100LL, JET A OX 1, 3 LGT When ATCT clsd ACTVT MALSR Rwy 09; REIL Rwy 01, 19 and 27; PAPI Rwy 01 and 19; HIRL Rwy 09–27; and twy lgts–CTAF.
AIRPORT REMARKS: Attended 1100–0100Z‡. 24 hr PPR for unscheduled air carrier ops with more than 30 pax seats, ctc arpt mgr at 843–669–5001.
AIRPORT MANAGER: 843-669-0550
WEATHER DATA SOURCES: ASOS (843) 665–1306 LAWRS.
COMMUNICATIONS: CTAF 125.1 ATIS 123.625 UNICOM 122.95
RCO 122.6 (ANDERSON RADIO)
®APP/DEP CON 118.6 (256°–074°) 135.25 (075°–255°) (1130–0300Z‡)
JACKSONVILLE CENTER APP/DEP CON 133.45 (0300–1130Z‡)
TOWER 125.1 (1130–0300Z‡) GND CON 121.9 CLNC DEL 121.9
CLEARANCE DELIVERY PHONE: For CD if una to ctc on FSS freq, ctc Florence Apch at 843-665-0632, when Apch clsd ctc Jacksonville ARTCC at 904-845-1592.
AIRSPACE: CLASS D svc 1130–0300Z‡; other times CLASS E.
RADIO AIDS TO NAVIGATION: NOTAM FILE FLO.
(H) (H) VORTACW 115.2 FLO Chan 99 N34°13.98′ W79°39.43′ 232° 4.4 NM to fld. 104/3W.
TACAN AZIMUTH unusable:
240°–285° byd 30 NM blo 4,000′
VOR unusable:
000°–017° byd 20 NM blo 7,000′
018°–037° byd 20 NM blo 10,000′
038°–051° byd 18 NM blo 5,000′
052°–074° byd 35 NM blo 10,000′
075°–116° byd 33 NM blo 4,000′
117°–142° byd 12 NM blo 10,000′
158°–170° byd 24 NM blo 10,000′
279°–301° byd 15 NM blo 10,000′
302°–342° byd 20 NM blo 10,000′
343°–359° byd 20 NM
DME unusable:
127°–173° byd 30 NM blo 3,000′
237°–302° byd 30 NM blo 4,000′
ILS/DME 109.1 I–FLO Chan 28 Rwy 09. Class IA.