CALDWELL EXEC (EUL)(KEUL) 3 SE UTC–7(–6DT) N43°38.51′ W116°38.15′
2431 B NOTAM FILE EUL

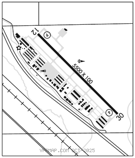
RWY 12–30: H5500X100 (ASPH) S–72, D–86, 2S–109 MIRL
RWY 12: PAPI(P4L)–GA 3.0° TCH 42′. Road.
RWY 30: PAPI(P4L)–GA 3.0° TCH 45′. Rgt tfc.
SERVICE: S4 FUEL 100LL, JET A, A+ OX 1, 2 LGT ACTIVATE MIRL Rwy 12–30–CTAF. PAPI Rwy 12 and Rwy 30 opr continuously.
AIRPORT REMARKS: Attended Mar–Oct 1500–0200Z‡, Nov–Feb 1500–0000Z‡. Parachute Jumping. Fuel avbl 24 hrs by credit card. Jet A from truck Mon–Sat 1500–2300Z‡. Call 208–453–8577 for Jet A and after hrs call out. Bulk Oxygen: 208–459–2360. Preferred parking for jet and large turboprop acft avbl on terminal apron on north side of rwy. Transient ramp preferred for use by training helicopters for launch and recovery. Preferred helicopter pattern SW of rwy. Rwy 12 calm wind rwy. + 363′ radio twr located 1.4 miles north of arpt.
AIRPORT MANAGER: 208-459-9779
WEATHER DATA SOURCES: AWOS–3PT 135.075 (208) 454–3953.
COMMUNICATIONS: CTAF/UNICOM 123.0
®BIG SKY APP/DEP CON 119.6
CLEARANCE DELIVERY PHONE: For CD ctc Big Sky Apch at 208-364-58605861.
RADIO AIDS TO NAVIGATION: NOTAM FILE BOI.
BOISE (VH) (H) VORTACW 113.3 BOI Chan 80 N43°33.17′ W116°11.53′ 269° 20.1 NM to fld. 2877/17E.
VOR unusable:
001°–044° byd 22 NM blo 11,000′
001°–044° byd 32 NM blo 14,500′
023°–033° byd 40 NM blo 15,500′
023°–033° byd 50 NM blo 18,000′
034°–081° byd 40 NM
045°–071° byd 32 NM blo 12,500′
072°–084° byd 32 NM blo 10,500′
082°–092° byd 40 NM blo 11,500′
082°–092° byd 53 NM blo 14,000′
082°–092° byd 71 NM blo 18,000′
093°–107° byd 40 NM
108°–118° byd 40 NM blo 9,500′
108°–118° byd 56 NM
119°–210° byd 40 NM
211°–221° byd 40 NM blo 9,400′
211°–221° byd 52 NM
222°–233° byd 40 NM
273°–283° byd 40 NM blo 6,000′
273°–283° byd 69 NM blo 9,000′
273°–283° byd 88 NM
284°–295° byd 40 NM
TACAN AZIMUTH unusable:
010°–060° byd 12 NM blo 13,000′
010°–060° byd 27 NM blo 15,500′
113°–155° byd 30 NM blo 7,000′
348°–010° byd 20 NM blo 13,000′
348°–010° byd 27 NM blo 15,500′
DME unusable:
010°–060° byd 12 NM blo 13,000′
010°–060° byd 27 NM blo 15,500′
113°–155° byd 30 NM blo 7,000′
348°–010° byd 20 NM blo 13,000′
348°–010° byd 27 NM blo 15,500′
VOR unusable:
296°–309° byd 40 NM blo 5,500′
296°–309° byd 46 NM blo 9,000′
296°–309° byd 84 NM blo 18,000′
315°–022° byd 40 NM
COMM/NAV/WEATHER REMARKS: FBO monitors 122.85.