CHICAGO/WEST CHICAGO
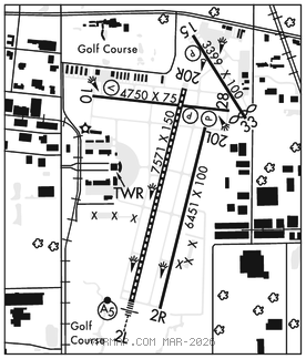
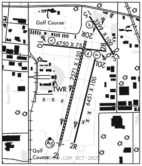
DUPAGE (DPA)(KDPA) 29 W UTC–6(–5DT) N41°54.42′ W88°14.88′ 759 B ARFF Index–See Remarks NOTAM FILE DPA MON Airport

RWY 02L–20R: H7571X150 (CONC–GRVD) S–30, D–45 HIRL CL
RWY 02L: MALSR. TDZL. RVR–T
RWY 20R: PAPI(P4L)–GA 3.0° TCH 40′. RVR–R
RWY 02R–20L: H6451X100 (CONC–GRVD) S–30, D–45 MIRL
RWY 02R: Rgt tfc.
RWY 10–28: H4750X75 (ASPH–GRVD) S–30, D–45 HIRL
RWY 10: RLLS. REIL. VASI(V4L)–GA 3.0° TCH 50′. Bldg.
RWY 28: REIL. PAPI(P4L)–GA 3.0° TCH 40′.
RWY 15–33: H3399X100 (ASPH) S–30, D–45, 2D–100 MIRL
RWY 15: REIL. PAPI(P4R)–GA 3.9° TCH 42′. Tree.
RWY 33: REIL. Thld dsplcd 190′. Tree.
SERVICE: S4 FUEL 100LL, JET A OX1, 2, 3, 4 LGT ATC–Ctl. Rwy 10 VASI unusbl byd 5° right and left of centerline.
AIRPORTREMARKS:Attended continuously. Deer, coyote, birds and migratory waterfowl on and invof arpt. 100LL self ser avbl 24 hr with credit card. ARFF Index B PPR. Acft on short final to Rwy 15 are not visible from tower due to trees. Int dep Rwy 20R at Twy G has 6141 ft. U.S. Cust svc avbl PPR. User fee arpt. NOTE: See Special Notices–Arrival Alert.
AIRPORT MANAGER: 630-584-2211
WEATHER DATA SOURCES: ASOS (630) 587–3668 LAWRS.
COMMUNICATIONS: ATIS 132.075 UNICOM 122.95
RCO 122.3 (KANKAKEE RADIO)
®CHICAGO APP/DEP CON 133.5
TOWER 120.9 124.5 GND CON 121.8 CLNC DEL 119.75
AIRSPACE: CLASS D.
RADIO AIDS TO NAVIGATION: NOTAM FILE DPA.
(VL) (L) VORW/DME 114.55 DPA Chan 92(Y) N41°53.42′ W88°21.01′ 076° 4.7 NM to fld. 802/2E.
VOR unusable:
042°–047° byd 40 NM
ILS 111.7 I–GVK Rwy 02L. Class IT.
ILS 109.5 I–DPA Rwy 10. Class IB.
COMM/NAV/WEATHER REMARKS: Emerg frequency 121.5 not available at twr.