CAHOKIA/ST LOUIS
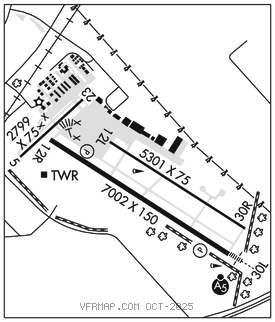
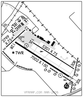
ST LOUIS DOWNTOWN (CPS)(KCPS) 1 E UTC–6(–5DT) N38°34.22′ W90°09.31′ 413 B ARFF Index–See Remarks NOTAM FILE CPS

RWY 12R–30L: H7002X150 (ASPH–GRVD) S–96, D–125, 2S–160, 2D–182 PCR 400 F/D/X/T HIRL
RWY 12R: REIL. PAPI(P4L)–GA 3.0° TCH 49′. Tree. Rgt tfc.
RWY 30L: MALSR. PAPI(P4L)–GA 3.0° TCH 53′. Pole.
RWY 12L–30R:H5301X75 (CONC) S–30, D–30 PCN 10 F/D/X/T MIRL
RWY 12L: REIL. Tree.
RWY 30R: REIL. Tree. Rgt tfc.
RWY 05–23: H2799X75 (ASPH) S–12 PCN 11 R/C/W/T MIRL
RWY 05: Tree.
RWY 23: Tower.
RUNWAY DECLARED DISTANCE INFORMATION
RWY 05: TORA–2799 TODA–2799 ASDA–2799 LDA–2799
RWY 12L:TORA–5300 TODA–5300 ASDA–5300 LDA–5300
RWY 12R:TORA–7002 TODA–7002 ASDA–7002 LDA–7002
RWY 23: TORA–2799 TODA–2799 ASDA–2799 LDA–2799
RWY 30L:TORA–7002 TODA–7002 ASDA–7002 LDA–7002
RWY 30R:TORA–5300 TODA–5300 ASDA–5300 LDA–5300
SERVICE: S4 FUEL 100LL, JET A OX 1 LGT ACTIVATE MALSR Rwy 30L when twr clsd–CTAF. REIL Rwy 30R–CTAF. HIRL Rwy 12R–30L preset on med ints when twr clsd. MIRL Rwy 12L–30R not avbl when twr clsd.
AIRPORT REMARKS: Attended continuously. Migratory waterfowl on and invof arpt. Be alert: intensive student training and helicopter operations. Sfc conds not mntd 0300–1300Z‡. Rwy 12R–30L 2D–200 with PPR. Class IV, ARFF Index A. Clsd to sked acr ops gtr than 9 psgr seats. Unsked acr ops gtr than 30 psgr seats rqr 12 hr PPR. Mon–Sun (1300–0300Z‡) other times by req 618–337–6060. After hrs ctc 618–646–8263. Rwy 05–23 not avbl for unscheduled acr at least 31 psgr seats excp taxi. Rwy 12L–30R not avbl for unscheduled acr at least 31 psgr seat excp taxi. All twys excp Twy B4 PPR acft over 120,000 lbs. Rwy 05 and 23 sfc markings faded.
AIRPORT MANAGER: 618-337-6060
WEATHER DATA SOURCES: ASOS (618) 332–0001 LAWRS.
COMMUNICATIONS: CTAF 119.925 ATIS 121.45 UNICOM 122.95
®SAINT LOUIS APP/DEP CON 123.7
DOWNTOWN TOWER 119.925 (1230–0400Z‡) GND CON 121.8 CLNC DEL 118.275 (121.8 when twr clsd)
AIRSPACE: CLASS D svc 1230–0400Z‡; other times CLASS G.
RADIO AIDS TO NAVIGATION: NOTAM FILE STL.
TROY (L) (L) VORTACW 116.0 TOY Chan 107 N38°44.35′ W89°55.12′ 224° 15.0 NM to fld. 576/4E.
TACAN AZIMUTH unusable:
255°–270°
300°–310°
ACORE NDB (LOMW) 350 CP N38°31.19′ W90°03.56′ 304° 5.4 NM to fld. 5500E. NOTAM FILE CPS.
ILS 109.1 I–CPS Rwy 30L. Class IA. LOM ACORE NDB. LOC unmonitored when ATCT closed. LOC unusable byd 14° rgt of course. OM unmonitored when ATCT closed.
COMM/NAV/WEATHER REMARKS: Emerg frequency 121.5 not avbl at twr.