CLARKSVILLE
OUTLAW FLD (CKV)(KCKV) 6 NW UTC–6(–5DT) N36°37.31′ W87°24.90′ 550 B TPA–1600(1050) NOTAM FILE CKV

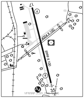
RWY 17–35: H5999X100 (ASPH) S–71, D–94 PCN 27 F/C/X/T MIRL
RWY 17: REIL. PAPI(P2L)–GA 3.0° TCH 52′. Trees.
RWY 35: MALS. PAPI(P2L)–GA 3.0° TCH 54′. Trees. Rgt tfc.
RWY 05–23: H4004X100 (ASPH) S–40, D–60
RWY 05: Thld dsplcd 402′. Tree. Rgt tfc.
RWY 23: Thld dsplcd 503′. Tree.
RUNWAY DECLARED DISTANCE INFORMATION
RWY 05: TORA–4004 TODA–4004 ASDA–3501 LDA–3099
RWY 23: TORA–4004 TODA–4004 ASDA–3602 LDA–3099
SERVICE: S4 FUEL 100LL, JET A+ LGT ACTVT MALS Rwy 35; REIL Rwy 17–CTAF. PAPI Rwy 17 unusbl byd 9° right of cntln.
AIRPORT REMARKS: Attended Mon–Fri 1300–0000Z‡, Sat–Sun 1400–2200Z‡. Arpt unatndd Christmas, Thanksgiving and New Year. Rwy 05–23 clsd indefly. Parachute Jumping. Deer on and invof arpt. Extv mil and civ flt trng within arpt area. Fuel: aft hr svc–931–217–8765. Rwy 05–23 markings peeling and faded.
AIRPORT MANAGER: 931-431-2080
WEATHER DATA SOURCES: ASOS 134.575 (931) 431–3045.
COMMUNICATIONS: CTAF/UNICOM 122.8
®CAMPBELL APP/DEP CON 134.35
CLEARANCE DELIVERY PHONE: For CD when una via freq ctc Campbell Apch at 270-798-6441.
RADIO AIDS TO NAVIGATION: NOTAM FILE CKV.
CLARKSVILLE (T) (T) VORW/DME 110.6 CKV Chan 43 N36°37.32′ W87°24.76′ at fld. 537/1W.
VOR portion unusable:
090°–110° byd 20 NM
SNUFF NDB (LOMW) 335 CK N36°31.62′ W87°23.21′ 348° 5.8 NM to fld. 501/1W.
LOC 111.7 I–CKV Rwy 35. LOM SNUFF NDB. Unmonitored.