BYIBURLEY MUNI
BURLEY, ID   [chart] [wx] [tpp]
BURLEY MUNI (BYI)(KBYI) 1 NE UTC–7(–6DT) N42°32.56′ W113°46.29′
4154 B NOTAM FILE BYI
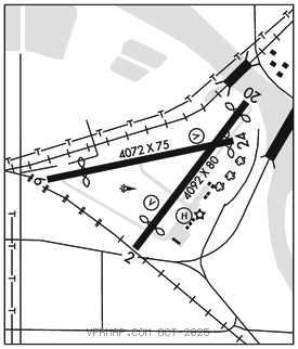
RWY 02–20: H4092X80 (ASPH) S–43, D–60 MIRL 0.3% up SW
RWY 02: VASI(V4L)–GA 3.5° TCH 46′. Thld dsplcd 626′. Road.
RWY 20: REIL. Thld dsplcd 305′. Stack.
RWY 06–24: H4072X75 (ASPH) S–23 MIRL
RWY 06: Thld dsplcd 796′. Railroad.
RWY 24: VASI(V2R)–GA 3.0° TCH 52′. Thld dsplcd 115′. Tree.
SERVICE: S4 FUEL 100LL, JET A OX 4 LGT ACTVT REIL Rwy 20; MIRL Rwy 02–20 and Rwy 06–24–CTAF (3 clicks to turn on). VASI Rwy 02 and Rwy 24 opr consly.
AIRPORT REMARKS: Attended May–Oct 1500–0000Z‡, Nov–Apr Mon–Fri 1500–0000Z‡, Nov–Apr wkends on call only 208–678–7118. For fuel sales ctc FBO. Nr on the FBO door. Birds invof all rwys, especially AER 20 and AER 24. AG activity on and invof all rwys Apr–Oct. Marked helipad on ramp in front of FBO bldg. CAUTION: Rwy 2 and 20–Rwy end 20: nmrs 80–120 ft tall steam stacks lctd to the N of the arpt/Snake River at gem processing plant; Exer extrm ctn on arr, spcly in poor vis. Rwy 02 and 06: nmrs close in obstns. 23 ft high rail road box cars may be prkd on trks off end of Rwy 02 and 06.
AIRPORT MANAGER: 208-678-0372
WEATHER DATA SOURCES: ASOS 135.575 (208) 677–3604.
COMMUNICATIONS: CTAF 122.9
CONNOR RCO 122.5 (BOISE RADIO)
®TWIN FALLS APP/DEP CON 126.7 (1300–0400Z‡)
®SALT LAKE CENTER APP/DEP CON 118.05 (0400–1300Z‡)
CLEARANCE DELIVERY PHONE: For CD ctc Twin Falls Apch at 208-734-7160, when Apch clsd ctc Salt Lake ARTCC at 801-320-2568.
AIRSPACE: CLASS E.
RADIO AIDS TO NAVIGATION: NOTAM FILE BYI.
(L) (L) VORW/DME 114.1 BYI Chan 88 N42°34.81′ W113°51.95′ 100° 4.8 NM to fld. 4226/18E.
DME unusable:
125°–135° byd 35NM blo 15,000′
HELIPAD H1: H50X50 (ASPH)

Shortcut to this page: http://afdsearch.com.

Effective 2025-10-02. Data may contain errors. See the official PDF source.